Construction d’une maison contemporaine à MEUDON

Maison individuelle à ossature bois

VilleBenerville-sur-mer (14910)

Environnement

Le site, situé dans une rue pavillonnaire de Meudon, non loin de la gare de Meudon.
Le site fait une large place à la nature et possède plusieurs arbres.
Le tissus urbain est moyennement dense et les habitations alentours sont implantées sur des parcelles de surfaces moyennes à grandes.
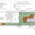
La parcelle est issue d’une division parcellaire effectuée en novembre 2019, puis d’un rajout en octobre 2020 (parcelle AI 148B d’une superficie de 65 m2)
Une annexe existe déjà sur la partie Ouest de parcelle, à cheval entre les deux nouvelles parcelles; la partie situé sur la parcelle sera démolie à l’occasion du projet.

Parti-pris architectural et volumétrie

Le choix du mode constructif s’est porté sur le bois notamment pour répondre à une volonté de respect de l’environnement, notamment la performance énergétique, et les plus faibles émissions de GES pour la construction.
Ce mode constructif permet également d’obtenir de grandes ouvertures et des volumes dégagés de murs porteurs, propices à l’architecture contemporaine.
Il est conçu selon plusieurs volumes:
Le premier, du rez de chaussée, comprend l’entrée et les pièces de jour. Il est forme en ‘L’ et sera revêtu d’un enduit de teinte blanc cassé.
Le second est situé au 1er étage, en porte-à-faux sur le rez de chaussée et contient 5 chambres. Il sera revêtu de bardage pré-grisé de type ‘Melodik’ des établissement Piveteau ou équivalent, en pose verticale . Enfin, le dernier volume comprend l’escalier et la suite parentale; il se prolonge sur la partie des chambres enfants afin de leur donner de la hauteur.
La hauteur maximale du volume haut est inférieure à mètres à l’acrotère, 7,03m à 7,63m suivant le terrain. L’emprise au sol est de 192,82 m2, soit une emprise totale de 27%

L’aménagement paysager existant sera complètement revu.
393 m2, soit 73% de la surface libre du terrain, sera en pleine terre, et engazonnée.
Onze des 13 arbres existants sur la nouvelle parcelle seront abattus pour l’implantation de la maison et la création du passage.
En compensation, onze arbres de hautes tiges seront plantés à l’occasion du projet.
Un carport est prévu à 28 mètres de l’alignement, de manière à permettre le stationnement d’une 2ème voiture et à faciliter la fermeture du portail. (une Déclaration préalable sera déposée ultérieurement pour les clôtures et le portail).

Matériaux

Le volume des chambres du 1er étage sera lui revêtu de bardage pré-grisé de type ‘Melodik’ des établissement Piveteau en pose verticale.
Enfin, le troisième volume, c’est à dire l’escalier, la partie haute du 1er étage, et la chambre a-dessus du séjour, sera recouvert d’un enduit minéral épais taloché de la marque Weber et Broutin ou équivalent référence 615 – Gris silex.
La couverture sera en membrane PVC, de couleur gris moyen, qui sera recouverte ou non suivant la configuration.
Les Menuiseries extérieures seront en aluminium laqué de ton ‘gris souris’ RAL 7005 ou similaire.
Le descentes et les boites à eau seront en zinc prépatiné, ou bien laquées de la même couleur que les menuiseries extérieures
Les garde-corps des terrasses seront en acier laqué noir ou gris moyen, avec lisses horizontales en acier laqué de même couleur, ou en câble tendus.
Les garde-corps des fenêtres du 1er étage seront dans le même matériau que celui garde-corpsdes terrasses, mais avec un remplissage en tôle ajourée pour la partie à moins de 45cm de l’appui.

Spécificités techniques

  • Surface de planchers = 195m²

  • Année de construction : 2016

  • Niveau de performances thermiques : RT 2012

  • Consommation : 67,4 kWh /m2/an

COMPOSITION DU MUR :
• Revêtement intérieur : Plaques de plâtre
• Frein vapeur
• Epaisseur de l’ossature : 200
• Essence et provenance ossature : Sapin du Nord
• Isolant et épaisseur : 200 mm laine de bois + 40mm extérieur en laine de bois
• Pare-pluie : Membrane perméable en polypropylène non tissé
• Revêtement extérieur : Bardage en lames de mélèze pré-grisé

COMPOSITION DE LA TOITURE TERRASSE SUPERIEURE :
• Dalle : Solives et OSB 16mm + 160mm + 100mm isolation laine de bois
• Isolant et épaisseur : Laine de bois 160mm + 100mm sous étanchéité

TYPE DE MENUISERIES :
• Menuiseries mixtes Bois-Aluminium. Vitrage à isolation renforcée

COMPOSITION DES PLANCHERS :
• Poutres en lamellé-collé et solives bois massif
• Isolation en fibre de bois de 180mm intégrée dans l’épaisseur du plancher

TERRASSE EXTERIEURE :
• Lame d’ipé sur plot réglables + lambourdes


  • Surface créée : 195 m2 habitables + Garage et annexes

Plan et préparation du chantier

Plan et préparation du chantier

Construction et travaux